Champlain et Hawkesbury signent un protocole d'entente pour soutenir la croissance et les services
Le Canton de Champlain et la Ville de Hawkesbury sont heureux d'annoncer la signature d'un protocole d'entente qui renforce le partenariat entre les deux municipalités qui ouvre la voie à la croissance future et à l'amélioration des services dans la région. Ce protocole d'entente établit les principes de négociation d'un accord officiel entre les deux municipalités qui sera conclue d'ici le 30 avril 2026.
Dans le cadre du protocole d'entente, Hawkesbury a manifesté son intérêt pour l'annexion de certaines parcelles de terrain situées à l'est de sa frontière actuelle, dans le Canton de Champlain. Ces parcelles, représentant 106,42 hectares de terres principalement boisées, sont adjacentes à des zones résidentielles situées au nord de la station-service de la route de comté 17. Elles sont désignées comme zone de politique commerciale et industrielle par les Comtés unis de Prescott et Russell, certaines sections étant désignées comme zone de politique rurale. La carte de la zone d'annexion proposée est jointe au présent communiqué de presse (figure 1 : zone délimitée par la ligne bleue).

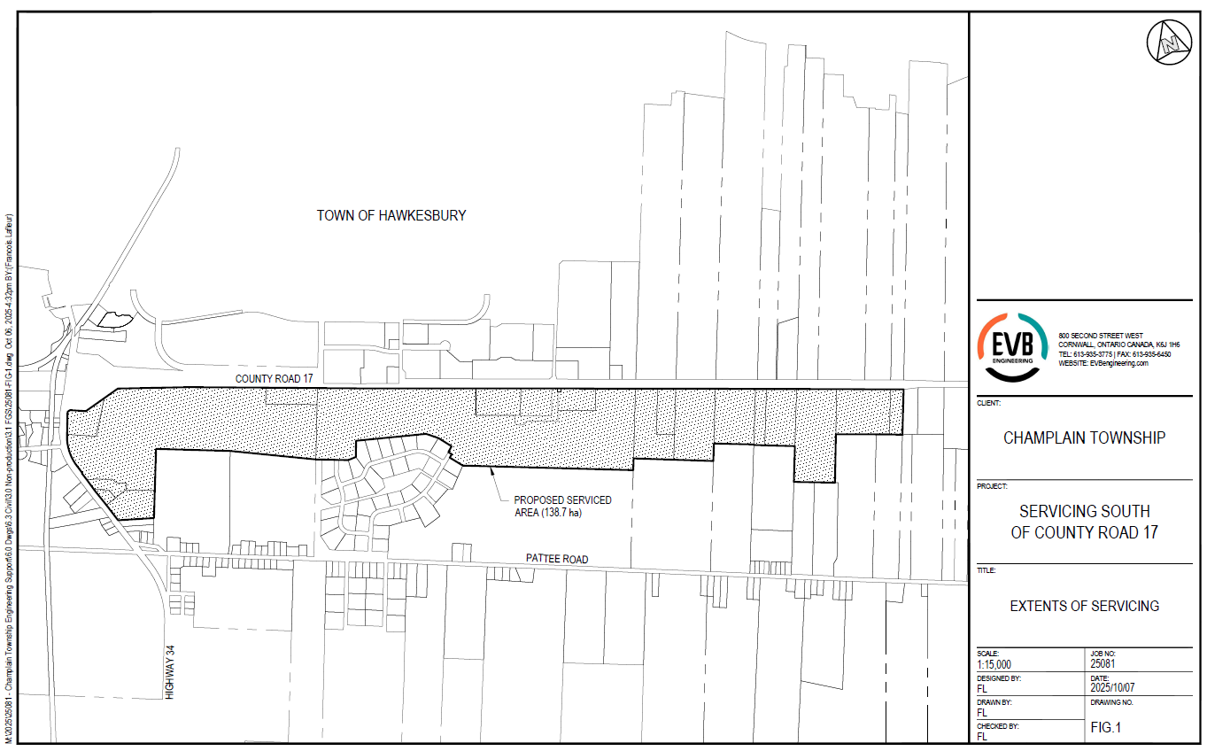
En échange, Champlain aura accès aux services d'eau et d'égouts de Hawkesbury pour une zone désignée de 138,7 hectares située au sud de la route de comté 17. Une carte indiquant la zone désignée est également jointe au présent communiqué de presse (figure 2 : zone grise).

« Ce protocole d'entente représente une étape stratégique vers le renforcement du partenariat économique entre Champlain et Hawkesbury », a déclaré le maire de Champlain, Normand Riopel. « En collaborant de manière proactive, nous maximisons l'efficacité et libérons notre potentiel commun.
Cet accord n'entraîne aucun coût pour nos résidents et ouvre la voie à de nouvelles opportunités qui favorisent une croissance durable tout en respectant les besoins et les réalités de notre communauté. »
Le maire de Hawkesbury, Robert Lefebvre, a ajouté : « Cette entente de principe marque une étape déterminante pour Hawkesbury et pour l’ensemble de notre région. En unissant nos efforts avec le Canton de Champlain, Hawkesbury réaffirme clairement sa volonté de demeurer un moteur de développement régional. Cet accord ouvre la voie à des solutions novatrices, à une planification ambitieuse et à une prospérité durable et partagée. Ensemble, nous sommes prêts à bâtir un avenir encore plus solide pour nos communautés. »
Le protocole d'entente reflète l'engagement des deux municipalités à collaborer dans leur intérêt mutuel et à faire en sorte que la région reste un endroit dynamique, sain et économiquement résilient où il fait bon vivre, travailler et investir.
Nouvelles récentes
Programme annuel de rinçage du réseau d'eau potable
Le Service de l'environnement débutera son programme de rinçage unidirectionnel du réseau de distribution d'eau potable à partir du mardi 26 mai 2026. Ce programme est nécessaires pour le maintien de la qualité du réseau de distribution d’eau potable.
Appel aux titulaires de food trucks
La ville de Hawkesbury souhaite rafraîchir l’été de ses citoyens et visiteurs ! Nous sommes actuellement à la recherche d’un véhicule de rafraîchissement (food truck / camion de rue) pour s’installer sur la magnifique île du Chenail (Parc de la Confédération) pendant la saison estivale.
Vente de garage gratuite
La fin de semaine de vente de garage gratuite est de retour ! Les 29, 30 et 31 mai prochains, profitez de cette occasion pour organiser une vente de garage directement sur votre propriété, sans permis requis.
Le FMH est de retour!
La ville de Hawkesbury est fière d’annoncer le grand retour cette année du Festival multiculturel de Hawkesbury pour sa 5e édition, présenté par Desjardins! Préparez-vous à 3 jours de célébration!
Fin des restrictions de charges réduites en période de dégel
Veuillez noter que les restrictions de charges réduites (5 tonnes par essieu), en vigueur depuis le 9 mars dernier, sont désormais levées. Les transporteurs peuvent dès maintenant reprendre leurs activités selon les limites de poids régulières.
Projets capitaux et nouvelles initiatives 2026
Découvrez les projets capitaux et les nouvelles initiatives de 2026 approuvés lors de la séance du conseil du 9 février; qui se poursuivront tout au long du printemps et de l’été, dont certains sont déjà terminés. Ils visent à soutenir le renouvellement des infrastructures, l'amélioration des services et la croissance à long terme de la communauté.
Information - Utilisation des bornes-fontaines
Nous rappelons qu’il est strictement interdit à tout entrepreneur ou citoyen de se brancher à une borne-fontaine municipale sans autorisation préalable. Seuls le personnel municipal et les services d'urgence, comme les pompiers, sont autorisés à les utiliser.
Vignettes saisonnières de stationnement - Descente de bateaux
Dès le 1er mai, procurez-vous votre vignette de stationnement saisonnière pour les descentes de bateaux du Parc de la Confédération et Cyr-de-La-Salle.
Travaux d'urgence sur les infrastructures municipales
Il y aura des travaux d'urgences sur les infrastructures municipales, demain le 22 avril 2026, entre 8 h à 18 h, sur des sections des rues CATHERINE, LANSDOWNE et ABERDEEN
Dévoilement - Plan directeur des parcs et loisirs
Joignez-vous à nous le 5 mai pour en savoir plus sur le Plan directeur des parcs et des loisirs, qui est en phase de finalisation. Vous aurez l'occasion d'examiner les orientations clés et les ébauches de recommandations, de nous faire part de vos commentaires et de poser vos questions au personnel de la Ville ainsi qu'à l'équipe de consultants. Élaboré à partir des commentaires de la communauté, ce Plan directeur orientera les améliorations vers des espaces de loisirs modernes, accessibles et durables.
Réunion publique - Amendement proposé au règlement de zonage N° 20-2018 (D14-149)
La Ville de Hawkesbury invite toutes les personnes intéressées à assister à une réunion publique statutaire afin d’examiner un amendement proposé au Règlement de zonage N° 20-2018
Sortie Aînés en mouvement : Expo Cinquante‑Cinq Plus Art et Vivre - 10 avril
Participez à cette sortie gratuite d’une journée afin de découvrir des expositions sur l’art, le mode de vie et la vie active à l’Expo Cinquante‑Cinq Plus, destinée aux adultes de 55 ans et plus.
Élections municipales 2026 : Formation pour candidat(e)s et tiers inscrits
Les huit municipalités des Comtés unis de Prescott et Russell invitent les personnes intéressées à se présenter comme candidat(e) ou à s’inscrire comme tiers inscrit aux élections municipales de 2026 à participer à une formation bilingue gratuite offerte par le ministère des Affaires municipales et du Logement.
Travaux d'urgence sur les infrastructures municipales
Il y aura des travaux d'urgences sur les infrastructures municipales, le 18 mars 2026, jusqu'à 18 h, sur des sections des rues AMOCO et CAMERON
Travaux d'urgence sur les infrastructures municipales
Il y aura des travaux d'urgences sur les infrastructures municipales, le 13 mars 2026, entre 10 h et 18 h, sur des sections des rues REGENT, HAMPDEN ET WILLIAM
INFORMATION - Traverse ferroviaire rue McGill
Veuillez noter que les voies ferrées sont la propriété de Canadian National Railway (CN) et ne relèvent pas de la compétence municipale. Les employés des Travaux publics de la ville de Hawkesbury n’effectuent pas l’entretien ni les réparations à cet endroit.
Travaux d'urgence sur les infrastructures municipales
Il y aura des travaux d'urgences sur les infrastructures municipales, le 11 mars 2026, entre 11 h et 18 h, sur des sections des rues LAFLECHE et GASCON
ALERTE MÉTÉO - Pluie verglaçante importante
Pluie verglaçante prévue à Hawkesbury ce 11 mars. 2026 Restez prudents, évitez les déplacements non essentiels et préparez votre trousse d’urgence 72 h.
La programmation du printemps 2026 est disponible!
Découvrez la nouvelle programmation des activités du Complexe sportif Robert-Hartley. Inscriptions à partir du 9 mars.
REPORTÉ - Réunion publique - Plan officiel
La Réunion publique concernant l’ébauche du Plan officiel initialement prévue le 9 mars 2026 aura désormais lieu le 13 avril 2026 à 18 h.
Restrictions de charges réduites en période de dégel
À compter du lundi 9 mars, des restrictions de charge de 5 tonnes par essieu seront en vigueur sur l’ensemble du territoire des Comtés unis de Prescott et Russell.
Travaux d'urgence sur les infrastructures municipales
Il y aura des travaux d'urgences sur les infrastructures municipales, le 19 février 2026, entre 10 h et 17 h, sur des sections des rues CATHERINE, LANSDOWNE et ABERDEEN
Travaux d'urgence sur les infrastructures municipales
Il y aura des travaux d'urgences sur les infrastructures municipales, le 25 février 2026, entre 10 h et 17 h., sur des sections des rues MONTCALM, CECILE et NELSON EST
Mise à jour sur les routes hivernales
En raison d’une pénurie provinciale de sel, notre équipe des travaux publics utilisera davantage un mélange sel‑sable et demande aux conducteurs d’être particulièrement prudents.
Réunion publique - Plan officiel
La Ville de Hawkesbury invite toutes les personnes intéressées à assister à une réunion publique statutaire afin d’examiner un nouveau Plan officiel pour l’Ébauche du Plan officiel de la Ville.
Travaux d'urgence sur les infrastructures municipales
Il y aura des travaux d'urgences sur les infrastructures municipales, le 11 février 2026, entre 10 h et 17 h, sur des sections des rues CHAMBERLAIN, LANSDOWNE et ABERDEEN
Travaux d'urgence sur les infrastructures municipales
Il y aura des travaux d'urgences sur les infrastructures municipales, le 4 février 2026, entre 10 h et 17 h, sur des sections des rues ABBOTT, LANSDOWNE et MAIN E
Avis de réunion publique
Réunion publique pour examiner un amendement proposé au Règlement de zonage
Perspectives 2026 sur les infrastructures municipales
Hawkesbury entreprend l’année 2026 en mettant l’accent sur une gestion responsable et à long terme de ses infrastructures, guidée par son Plan de gestion des actifs 2025 et les rétroactions de la communauté. Les priorités comprennent le renouvellement des systèmes d’eau, du réseau routier, des installations communautaires et des véhicules municipaux afin de prolonger la durée de vie des actifs et de maîtriser les coûts.
Face à la hausse des dépenses et à des revenus limités, la Ville privilégie la transparence, la rigueur budgétaire et une planification proactive pour maintenir les services essentiels. Le Ville continuera de cibler les projets prioritaires, de rechercher des sources de financement et de renforcer la participation de la communauté au processus décisionnel local.
Journée portes ouvertes - Plan officiel
La ville de Hawkesbury invite toutes les personnes intéressées à assister à une journée portes ouvertes statutaire pour envisager des révisions et donner leur avis sur le projet du Plan officiel de la Ville conformément aux exigences de l'alinéa 17(16) de la Loi sur l'aménagement du territoire, RSO 1990, tel que modifié.
L'ébauche du plan officiel peut être consulté avant la journée portes ouvertes au public via le lien figurant dans cet article et est également mis à la disposition du public pour consultation à l'hôtel de ville.
Réunion du Conseil annulée
Exceptionnellement, la réunion ordinaire du Conseil prévue le lundi 12 janvier à 18h30 est annulée.
Mise à jour importante pour le programme de recyclage
Un nouveau système de recyclage amélioré permet de recycler davantage de matières partout dans la province. La liste complète est disponible en ligne. À compter du 1er janvier 2026, les questions sur le recyclage devront être adressées à Miller Waste, tandis que le service de collecte demeure inchangé.
Inscriptions – Programmation d’hiver 2026
Une variété de cours sera offerte du 12 janvier au 13 mars au Complexe sportif pour bien commencer l’année 2026.
Nouvelles exigences du Code de prévention des incendies de l’Ontario
Dès le 1er janvier 2026 - Détecteurs de monoxyde de carbone requis à chaque étage !
Calendrier 2026
Calendrier 2026 de la ville de Hawkesbury
Concours Photo 2026
📸 Le Concours photo 2026 est lancé — et la période Hiver commence DÈS AUJOURD’HUI!
Audience publique - Comité de dérogation mineure
Le Comité de dérogation mineure de la Ville de Hawkesbury tiendra une audience publique à l'Hôtel de Ville, 600, rue Higginson, Hawkesbury, à 18 h le mardi, 16 décembre 2025
Ouverture de la Halte-Chaleur de Hawkesbury et Dons
La Halte-Chaleur de Hawkesbury ouvre officiellement ses portes le 2 décembre à 21 h, offrant sécurité et réconfort aux personnes en situation d’itinérance. Afin de protéger la confidentialité des usagers, le public est prié de ne pas se rendre sur les lieux durant les heures d’ouverture. Pour ceux qui souhaitent faire un don, veuillez lire l’article ci-dessous pour plus d’informations. Merci de soutenir les personnes dans le besoin dans notre communauté.
Campagne de promotion de Service Line Warranties of Canada (SLWC)
Campagne de promotion de Service Line Warranties of Canada (SLWC)
La ville de Hawkesbury veut informer les propriétaires qu'ils pourraient recevoir une lettre de rappel dans les semaines à venir de SLWC concernant ces plans de protection.
Avis de réunion extraordinaire
Travaux d'urgence sur les infrastructures municipales
Il y aura des travaux d'urgences sur les infrastructures municipales, le 13 novembre 2025, entre 9 h et 17 h, du 610 AU 781 REJANE CRESCENT
Halloween sur la Main reporté
Halloween sur la rue Main reporté au 6 novembre 2025
Travaux de raccordement - Fermeture temporaire de la rue Higginson
La rue Higginson sera fermée entre la rue James et la rue Stanley du 22 au 29 octobre 2025 afin de permettre les travaux de raccordement aux égouts sanitaires. Veuillez suivre la signalisation de détour en place.
Une belle réussite pour la journée portes ouvertes
Le 16 octobre dernier, la ville de Hawkesbury a connu un franc succès avec la tenue de sa journée portes ouvertes. L’événement offrait aux résidents l’occasion de s’exprimer et de poser leurs questions sur deux grands projets municipaux : le Plan officiel de Hawkesbury et le Plan directeur des parcs et loisirs.
Avis d'interruption d'électricité
Une interruption d'électricité aura lieu le dimanche 26 octobre 2025, de 5 h à 8 h 30
L'hotel de ville sera fermé pour l'Action de grâce
Veuillez noter que nous serons fermé lundi le 13 octobre 2025 en raison de l'Action de grâce.
Hawkesbury ajuste la facturation des frais eau/ égouts/ ordures en raison de la grève de Postes Canada
Veuillez noter qu’en raison de la grève de Postes Canada, la ville de Hawkesbury n’a pas la possibilité, pour le moment, d’envoyer ou de recevoir les factures des frais eau/ égouts/ ordures par la poste. La facturation demeure prévue pour le 15 octobre. Toutefois, afin de permettre aux utilisateurs de récupérer leur facture malgré la situation avec Postes Canada, la date de paiement initialement fixée au 31 octobre est reportée au 28 novembre 2025. Il est important de souligner qu’après cette date, des frais de retard seront appliqués pour toute facture impayée.
Journée portes ouvertes à Hawkesbury
Cet événement est une occasion unique de s’informer, de s’exprimer et de contribuer à l’avenir de la ville.
Plan directeur des parcs et loisirs de Hawkesbury
La Ville de Hawkesbury élabore actuellement un plan directeur complet pour les parcs et les loisirs, qui orientera les investissements stratégiques et la prise de décisions pour les 15 prochaines années.
Participez au sondage avant le 24 octobre et courez la chance de gagner une carte cadeau de 50$ !
Votre avis compte! Remplissez le questionnaire des communications
La Ville veut mieux communiquer avec vous et pour ça, on a besoin de votre opinion.
Participez au sondage et courez la chance de gagner une carte cadeau de 50$ !
Le Bureau de santé de l'Est de l'Ontario emménage!
Le bureau de Hawkesbury du BSEO emménage dans un noveau local cet automne
Les inscriptions pour l'Halloween sur la Main sont ouvert!
Nous sommes ravis de vous inviter à participer à notre célébration d’Halloween épouvantablement spectaculaire qui aura lieu le 31 octobre de 16 h à 20 h sur la rue Main!
Encourager la participation des femmes en politique municipale
Un événement virtuel pour briser les barrières
Fermeture des jeux d’eau
Dernière chance d’en profiter!
Une nouvelle infolettre est maintenant disponible!
Restez informé des actualités de la ville de Hawkesbury et consultez notre infolettre dès maintenant!
Inscription pour le défilé du Père Noël est maintenant disponible
La magie de Noël s’invite en ville!
Comprendre vos taxes municipales
Saviez-vous que vos taxes municipales financent bien plus que vous ne le pensez?
Découvrez comment elles sont réparties et quels facteurs influencent le budget de la Ville de Hawkesbury!
Inscriptions pour le Marché de Noël maintenant disponible
Les inscriptions pour le Marché de Noël sont maintenant ouvertes! Réservez votre kiosque et laissez briller vos créations artisanales dans une ambiance festive.
La programmation d'automne du Complexe sportif est maintenant disponible
Chaque année le Complexe sportif est fière d'offrir une gamme de cours et programmes pour toute la famille.
Travaux d'urgence sur les infrastructures municipales
Il y aura des travaux d'urgences sur les infrastructures municipales, le 27 août 2025, de 8 h 00 à 13 h 00, au parc de la Confédération et la Maison de l'Île.
Erratum concernant les informations publiées sur le stationnement des rues Stevens et Ghislain
Lors de la réunion du 11 août dernier, le Conseil municipal a adopté la résolution R-144-25, suite à une demande d’une résidente de la rue Ghislain. Le Conseil a demandé une confirmation que cette demande consistait seulement à lever la restriction de non-stationnement de 6 h à 18h sur les rues Ghislain et Stevens imposée en 2015 à tous (incluant les détenteurs de vignettes de stationnement) pendant la période de construction du nouvel hôpital.
Travaux d'urgence sur les infrastructures municipales
Il y aura des travaux d'urgences sur les infrastructures municipales, le 21 août 2025, de 7 h 30 à 15 h 00, sur la rue Mary entre les rues Lansdowne et Aberdeen. Veuillez suivre la signalisation afin de contourner le chantier.
Fermeture de la rue Catherine – Détours à prévoir
Avis aux résidents de la Ville de Hawkesbury – Phase 1 du Programme de remplacement de compteurs d'eau – début prévu en août 2025
La Ville de Hawkesbury a confié à Neptune Technology Group le remplacement d’environ 300 compteurs d’eau vieillissants de la ville. Ce programme est obligatoire conformément à la Loi sur les services publics de l'Ontario, L.R.O. 1990, chap. P.52.
Interdiction de faire des feux
Le service des incendies de Hawkesbury a émis une interdiction totale de faire du feu dans la ville de Hawkesbury à compter de ce vendredi 8 août 2025.
Consultations publiques de Hawkesbury
Votre opinion a un réel pouvoir. En participant aux consultations publiques, vous influencez les choix municipaux et contribuez à bâtir une ville qui répond à vos besoins et attentes. Participez et ensemble, faisons de Hawkesbury une communauté dynamique à notre image !
Participez pour la chance de gagner une carte-cadeau de 50$ dans une entreprise locale de Hawkesbury.
Nouvelle ligne téléphonique de la bibliothèque
Veuillez prendre note que la bibliothèque de Hawkesbury a maintenant une ligne téléphonique directe. Vous pouvez contacter la bibliothèque au (613) 632-3681.
Consultation publique sur le Plan Officiel 2046 de Hawkesbury
Merci de participer au projet du Plan officiel 2046 de Hawkesbury ! L'objectif du plan officiel est d'établir le cadre politique d'aménagement du territoire qui guide la croissance et le développement à Hawkesbury. Participez au questionnaire et courez la chance de gagner une carte-cadeau de 50$
Fermeture de rue pour les travaux de réfection du pont Cécile
Réfection du pont Cécile – Certains détours à prévoir
Les travaux de réfection du pont Cécile débuteront le 11 août et se poursuivront jusqu’au mois de novembre.
Redirection des services techniques et du service à la clientèle
Loi sur les eaux navigables canadiennes – Avis de non-obstruction à la navigation
The Corporation of the Town of Hawkesbury hereby gives notice that a submission has been added to the Common Project Search (online registry) pursuant to the Canadian Navigable Waters Act described herein and its description.
Tests de débit des bornes-fontaines
À compter du 28 juillet 2025, le Service de l'environnement effectuera des tests essentiels de débit des bornes-fontaines au travers de la ville de Hawkesbury.
Avis de réunion extraordinaire à huis clos
Veuillez noter qu’il y aura une réunion extraordinaire à huis clos le mercredi 30 juillet 2025 à 16 h.
FERMETURES TEMPORAIRES DE RUES PRÉVUES
En raison de la température, les fermetures des rues Cameron et West seront reportées au vendredi 18 juillet.
Redirection des services techniques et du service à la clientèle
En raison d’un problème de climatisation, le service à l’accueil ainsi que les services techniques seront accessibles uniquement par la porte 3 de l'Hôtel de ville, du 14 juillet au 18 juillet.
Merci de votre compréhension.
Protégez-vous pendant les grandes chaleurs grâce aux conseils du Bureau de santé de l'Est de l'Ontario.
Les températures élevées peuvent être dangereuses, surtout pour les jeunes enfants, les aînés et les personnes ayant des problèmes de santé. Les coups de chaleur peuvent survenir rapidement — mais la bonne nouvelle, c’est qu’on peut les prévenir!
Une nouvelle infolettre est maintenant disponible !
Vous souhaitez rester informé des nouvelles concernant la ville de Hawkesbury? Consultez notre infolettre!
Changements à la programmation de la fête du Canada
En raison de la météo quelques changements ont été faits à la programmation de la fête du Canada
Avis de de changement de date d'une réunion du Conseil municipal
ERRATUM - Veuillez noter que la prochaine réunion ordinaire du Conseil se tiendra le lundi 11 août 2025, et que la date du 18 août inscrite au calendrier municipal imprimé envoyé par la poste est erronée.
Fermeture de rues en raison des festivités à venir
Veuillez noter qu’il y aura des perturbations de circulation en lien avec le Festival multiculturel et les préparatifs de la Fête du Canada.
Levée du drapeau de la Fierté inclusive-intersexe
Ce mardi 24 juin, la ville de Hawkesbury a hissé le drapeau de la Fierté inclusive-intersexe devant l’Hôtel de Ville en l’honneur de la saison de la Fierté.
Canicules à venir. Quelques précautions à prendre
Avec les chaleurs des prochains jours, la ville de Hawkesbury a mis en place un endroit permettant aux résidents de venir se rafraîchir durant les canicules à venir.
AVIS - Rinçage unidirectionnel du réseau de distribution d'eau potable
À partir du lundi 2 juin 2025, le service de l'environnement procédera à son programme annuel de rinçage unidirectionnel du réseau de distribution d'eau potable. Le tout sera effectué du lundi au vendredi, entre 7 h et 15 h 30, pour une durée approximative de 5 semaines. Le calendrier du programme de rinçage se trouve à la fin de cet avis.
AVIS DE RÉUNION EXTRAORDINAIRE DU CONSEIL POUR L'EXAMEN DU PLAN OFFICIEL
VEUILLEZ PRENDRE NOTE QUE la Ville de Hawkesbury a entrepris un examen de son Plan officiel et tiendra une réunion extraordinaire du Conseil, ouverte au public, en vertu de l'alinéa 26(3) (b) de la Loi sur l’aménagement du territoire, L.R.O. 1990, afin de discuter des révisions possibles au Plan officiel qui pourraient être nécessaires et de donner au public de formuler des commentaires.
Un nouveau plan stratégique pour soutenir l'avancement de Hawkesbury
Lors de la réunion du Conseil municipal du 12 mai, le Conseil a adopté le rapport final du Plan stratégique 2025-2030 de la ville de Hawkesbury.
Inscription été 2025 - Aqua bike et aqua forme
Les inscriptions pour la session estivale des cours aquatiques débutent le vendredi 16 mai à 8 h! Ne manquez pas votre place !
Collectes spéciales – Ça commence bientôt!
Les premières collectes spéciales débuteront la semaine du 26 mai!
Vignettes saisonnières de stationnement disponibles dès le 5 mai
Il est important de noter qu’une vignette de stationnement est requise pour accéder aux descentes de bateaux situées au parc de la Confédération et au parc Cyr-de-La-Salle.
Ces vignettes seront disponibles très bientôt, à tarif réduit pour les résidents, et également offertes aux non-résidents.
Le projet de bancs publics au centre-ville de Hawkesbury guidé par les résultats du sondage public
As part of the public survey held in February and March, the public was invited to vote on their preferred locations for the upcoming Main St. bench project. Thanks to your participation, the top eight most-voted spots have now been determined.
Fermeture pendant la fin de semaine de Pâques
🐣 Horaire de Pâques – Ville de Hawkesbury 🐣
Veuillez noter que l’Hôtel de ville sera fermé le vendredi 18 avril et le lundi 21 avril à l’occasion du long week-end de Pâques.
Interruption temporaire du service de téléphonie
L'interruption débutera à 13 h qui pourrait se prolonger. Certains services seront affectés.
Ouverture des terrains extérieurs dès le 15 avril 2025
Bonne nouvelle pour les amateurs de sports extérieurs!
Les terrains extérieurs du Complexe sportif de Hawkesbury ouvriront officiellement le 15 avril prochain!
Que vous soyez passionné de tennis ou de pickleball, profitez gratuitement de nos installations pour bouger et vous amuser à l’extérieur.
Alerte météo – Importante accumulation de verglas ce dimanche
Environnement Canada a émis une déclaration météorologique spéciale pour le week-end en raison d’une accumulation importante de verglas causée par la pluie verglaçante.
Avis de réunion extraordinaire
Le Conseil municipal de la Corporation de la ville de Hawkesbury tiendra une réunion extraordinaire le 25 mars 2025 à 11h30 à l'hôtel de ville, 600 rue Higginson.
Audience publique - Comité de dérogation mineure
Le Comité de dérogation mineure de la Ville de Hawkesbury tiendra une audience publique à l'Hôtel de Ville, 600, rue Higginson, Hawkesbury, à 18 h le 31 mars 2025
Les inscriptions aux cours d'aquatique - Printemps 2025
Les inscriptions pour la période du printemps 2025 seront disponibles dèes le 21 mars prochain. Pour réserver le cours de votre choix consulter la plateforme Amilia.
À la recherche de membres pour le Comité d'accessibilité
Le Conseil municipal est à la recherche de personnes intéressées à siéger sur le comité d’accessibilité de la Ville. Si vous détenez une expertise que vous voulez partager avec la Ville, ou des qualifications qui viendront appuyer le mandat du Comité. Nous vous invitons à soumettre votre intérêt avant le 14 avril 2025.
Les patinoires extérieures sont maintenant fermées pour la saison hivernale 2025.
Les patinoires extérieures de la ville de Hawkesbury sont désormais fermées pour la saison 2025.
Activités durant le congé de mars
Le congé de mars est souvent synonyme d’activités en famille. C’est pourquoi la Ville de Hawkesbury offre plusieurs plages horaires pour diverses activités familiales. Consultez l’horaire pour en savoir plus !
Inscription pour les cours de Yoga et cardio vélo
Inscription à la session du printemps
Il est temps de vous inscrire à la session du printemps qui débute le 18 mars prochain !
Sondage - Emplacement des bancs sur la rue Main Est
Le but de ce court sondage est de solliciter les commentaires du public sur les emplacements proposés pour l'installation de huit (8) bancs au centre-ville de Hawkesbury. Ce sondage prendra fin le 26 mars 2025.
Avis de réunion extraordinaire
Fermeture de la piscine
La piscine sera exceptionnellement fermée aujourd'hui, le jeudi 13 février. Les autres installations du Complexe sportif Robert Hartley sont maintenant ouvertes. Consulter Amilia pour les activités disponibles.
Tempête hivernale
Compte tenu de la tempête hivernale actuel, soyez prudent sur les routes et évitez les déplacements non essentiels. Les équipes municipales travaillent d'arrache-pied pour entretenir les routes, offrir des services et assurer la sécurité publique. Veuillez faire preuve de patience, car le déblaiement des routes et des trottoirs, ainsi que la collecte de déchets, peuvent prendre plus de temps que d'habitude.
Fermeture des installations en raison de la météo
Pour la sécurité de notre personnel et des résidents, l'hôtel de ville sera fermé au public aujourd'hui, le jeudi 13 février, et le Complexe sportif Robert Hartley ouvrira plus tard que d’habitude, à 13h.
La bibliothèque publique de Hawkesbury recrute !
La Bibliothèque de Hawkesbury est à la recherche d'une direction pour rejoindre son équipe dynamique.
Travaux d’infrastructures municipales d’urgence aujourd’hui le 3 février 2025, entre 11 h et 18 h
AVIS POUR
600 AU 762 RUE BERTHIAUME
Le présent avis est pour vous informer qu’il y aura des travaux d’infrastructures municipales d’urgence aujourd’hui le 3 février 2025, entre 11 h et 18 h. Veuillez suivre la signalisation érigée afin de contourner le chantier.
Le programmes de soutien aux organismes communautaires est maintenant disponible !
La Ville de Hawkesbury estime que la force d’une communauté réside dans la santé et le bien-être de ses résidents, elle met en place, chaque année, une initiative permettant d’appuyer les organismes communautaires sous différentes formes. Ce soutien vise à renforcer les liens entre la Ville et ces organismes. Les organismes sont invités à soumettre leur demande de soutien entre le 1er février et le 31 mars 2025. Le formulaire sera disponible au lien suivant : https://www.hawkesbury.ca/fr/loisirs-et-communaut%C3%A9/dans-ma-communaut%C3%A9/programme-de-soutien-aux-organismes.
Travaux d’infrastructures municipales d’urgence aujourd’hui le 20 janvier 2025, entre 10 h et 17 h
AVIS POUR
658 AU 747 AVENUE PORTELANCE
512 AU 518 RUE JAMES
Le présent avis est pour vous informer qu’il y aura des travaux d’infrastructures municipales d’urgence aujourd’hui le 20 janvier 2025, entre 10 h et 17 h. Veuillez suivre la signalisation érigée afin de contourner le chantier.
Le programme de soutien de la Ville Hawkesbury arrive bientôt. Avez-vous votre reconnaissance ?
La Ville de Hawkesbury estime que la force d’une communauté réside dans la santé et le bien-être de ses résidents, elle met en place, chaque année, une initiative permettant d’appuyer les organismes communautaires sous différentes formes. Ce soutien vise à renforcer les liens entre la Ville et ces organismes. Les organismes sont invités à soumettre leur demande de soutien entre le 1er février et le 31 mars 2025. Avant de soumettre votre demande assurez-vous d'être reconnu. Le processus de reconnaissance est en cours jusqu'au 20 février prochain.
La factures de services municipaux arrivent bientôt !
La semaine prochaine, surveillez attentivement votre courrier pour recevoir vos factures de services publics. Vous y trouverez également notre infolettre.
Nouveauté au Complexe sportif!
Envie d’essayer quelque chose de différent? C’est totalement gratuit!
📅 Ouvert tous les samedis de 11 h à 15 h.
Les patinoires extérieures sont maintenant ouvertes pour la saison hivernale 2025.
Profitons de l’hiver avec nos patinoires extérieures ! Deux des trois patinoires sont maintenant ouvertes.
La Ville de Hawkesbury désire vous offrir leur meilleurs voeux durant le temps des fêtes
En cette période de célébration et de partage, nous souhaitons remercier tous les résidents pour leur rôle essentiel dans la vitalité et la solidarité de notre communauté.
Calendrier 2025
Venez chercher votre copie du calendrier 2025 de Hawkesbury!
Horaire du temps des fêtes pour l'Hôtel de ville de Hawkesbury
Veuillez noter qu'entre le 24 décembre et le 3 janvier certains services auront des horaires modifiés. Nous vous invitons à consulter l'article suivant pour connaître toutes les disponiblités.
FoodCycler
93 % des participants recommanderait le FoodCycler. Inscrivez-vous sans tarder !
Calendrier des collectes de déchets 2025
Où retrouvez le calendrier des collectes de déchets 2025 ?
Avis d'adoption de modification du zonage N° 72-2024 et N° 73-2024
Le Conseil municipal de la Corporation de la ville de Hawkesbury a adopté les Règlements de zonage N° 72-2024 et N° 73-2024 pour modifier le Règlement de zonage N° 20-2018, lors d’une réunion tenue le 9 décembre 2024, en vertu de l’article 17 de la Loi sur l’aménagement du territoire, RSO 1990, C.P. 13, tel que modifié.
Lancement officiel du nouveau site web de la Ville de Hawkesbury
Hawkesbury, le 12 décembre 2024 – La Ville de Hawkesbury est fière d’annoncer le lancement tant attendu de son nouveau site web, maintenant disponible à tous.
La commission de l'énergie de l'Ontario tiendra une audience publique -
La commission de l'énergie de l'Ontario tiendra une audience publique, il y a trois façons de participer : les audiences orales, les audiences électroniques et les audiences écrites. Les gens qui sont intéressés ont jusqu'au 20 décembre pour manifester leur intérêt de participer à cette audience.
Le budget 2025 de la ville de Hawkesbury adopté sous réserve de révision
Lors de la réunion du Conseil municipal du 9 décembre dernier, le budget de 2025 a été adopté sous réserve d’une révision, en raison d’une récente annonce concernant l’augmentation des frais liés à la Police provinciale de l’Ontario (PPO).
Quelques instructions pour votre collecte de déchets en hiver
Le positionnement optimal des bacs d’ordures peut devenir compliqué en hiver. Voici quelques rappels sur l'emplacement des bacs et des gestes pour faciliter les opérations de collecte et de déneigement.
Une journée festive à Hawkesbury : Retour sur le 7 décembre
Le 7 décembre, Hawkesbury a plongé dans l'esprit des fêtes avec deux événements fantastiques qui ont attiré des centaines de résidents et de visiteurs.
Retour sur le vernissage d’hier à Hawkesbury
Malgré notre première tempête de la saison, six courageux participants se sont déplacés pour présenter leurs magnifiques œuvres lors de l’exposition-éclair au Complexe sportif de Hawkesbury. Leur engagement et leur enthousiasme pour partager leur créativité avec la communauté ont véritablement illuminé la journée!
Campagne de promotion du printemps de Service Line Warranty Canada (SLWC)
En septembre 2022 dernier, la ville s'est associée avec SWLC pour offrir aux propriétaires de Hawkesbury des plans de protection pour aider à couvrir les frais de réparation potentiellement coûteux associés à leur portion de conduites d'eau et d'égouts. Ces plans offerts par SWLC sont utilisés par plus de 1 000 villes, municipalités et services publics en Amérique du Nord, dont plus de 65 en Ontario.
Avis réunion publique - Règlement de zonage
Amendement au règlement de zonage pour les adresses 157 et 189 rue John.
Semaine des administrations locales
Chaque année, l'Ontario célèbre la Semaine des administrations locales pendant la troisième semaine d'octobre afin de sensibiliser le public et les jeunes à l'importance cruciale des administrations locales dans nos communautés. Cette année, la Semaine des administrations locales se déroule du 21 au 25 octobre.
Nouvelle subvention pour appuyer la Ville lors des Urgences
La Ville de Hawkesbury est heureuse d’annoncer l’obtention d'une subvention de 50 000 $ dans le cadre du programme de Subvention pour les projets communautaires de protection civile. Cette somme a été investie dans le projet d’achat d’une génératrice d’urgence pour le Complexe Sportif, un lieu désigné comme refuge lors de situations d'urgence.
Avis de réunion publique
AVIS DE DEMANDE COMPLÈTE ET DE RÉUNION PUBLIQUE CONCERNANT UNE PROPOSITION D’AMENDEMENT AU RÈGLEMENT DE ZONAGE N° 20-2018 (D14-146)
Un réseau de fraude porte-à-porte démantelé à Hawkesbury
Les agents des règlements municipaux de la ville de Hawkesbury et la PPO prennent des mesures
Arrivée de Biciti+
Une nouvelle application conçue pour faciliter l'accès des citoyens aux informations municipales et communautaires
Ensemble pour l’avenir de Hawkesbury : sondage sur la planification stratégique
À partir du 22 août, la Ville de Hawkesbury lance une consultation publique dans le cadre du développement d'un nouveau plan stratégique. C'est l'occasion idéale pour vous de contribuer à façonner la vision de votre Ville pour les années à venir.
Assemblées publiques sur la planification stratégique de la ville de Hawkesbury
À partir du 22 août, la Ville de Hawkesbury lance une consultation publique dans le cadre du développement d'un nouveau plan stratégique. C'est l'occasion idéale pour vous de contribuer à façonner la vision de votre Ville pour les années à venir.
Infolettre trimestrielle
Restez informé et connecté avec toutes les dernières nouvelles de la Ville de Hawkesbury !
Feuilles et déchets de jardin
Projet pilote de 12 collectes de résidus verts en 2024
Sondage - infrastructures et les niveaux de service de la Ville
Commencez dès aujourd'hui avec notre premier sondage sur les infrastructures et les niveaux de service de la Ville !
Participez et courez la chance de gagner une carte-carteau de 100 $. Le tirage sera fait à la fin du mois de juillet 2024.
Ontario à votre service
Le député provincial Stéphane Sarrazin a annoncé ce financement qui permettra le remplacement et l’amélioration de trois feux de circulation à Hawkesbury!
Programme FoodCycler™
La solution de détournement des déchets alimentaires à domicile.
Modifications de l'utilisation des notifications OUPS relatives aux déchets
À compter du 3 juin 2024, les notifications OUPS NE seront PLUS laissées par les collecteurs pour les problèmes de placement des bacs d’ordures.
Nouveau filets de soccer dans le parc Sidney
De nouveaux filets de soccer viennent d'être installés au Parc Sidney !!
collectes d'items encombrants
Guide pour une collecte réussie d'items encombrants.